조황관리HOME / 조황관리 / 상세정보

제목 : 대구 사이즈가 조금씩 좋아지기 시작합니다.
등록일 : 2024-12-02



대구 곤이 가득차는 시기가 왔어요.
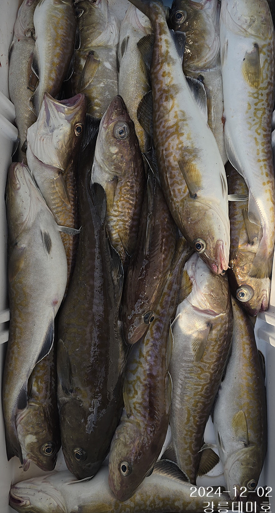
일요일 대구 조황입니다.

f0001.jpg
오늘도 빵 좋은 대구가 올라와주네요.

f0002.jpg
아쉽게 미터는 넘지 못하고 90조금 넘네요.

f0003.jpg



f0005.jpg

방망이 사이즈들이 너무 많고 간간이 중구 대구가 올라오고 있어요.

f0004.jpg
f0006.jpg


f0007.jpg


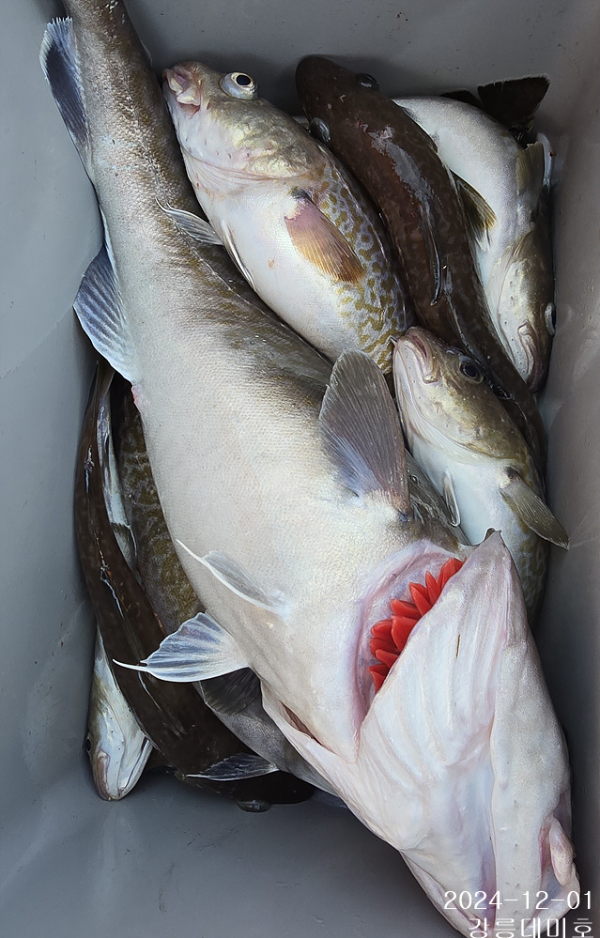
월요일 조황입니다.

f0010.jpg
두분은 메탈 두분은 지깅이였는데 오늘은 메탈에 큰 놈이 물어준 날이였어요.

f0011.jpg
쓸만한 놈들이 연달아 올라와줍니다.

f0012.jpg


f0013.jpg
드뎌 곤이 꽉찬 수컷 왕대구 한마리 올라와주고

f0014.jpg

오늘 조과입니다.
f0015.jpg


f0016.jpg


f0017.jpg





*** 강릉 데미호 예약 안내 ***


예약문의 : 010-3310-1853

오시는길 : 강원도 강릉시 주문진읍 해안로 1712-4

홈페이지 : https://demi.sunsang24.com/


모바일.jpg 


Top